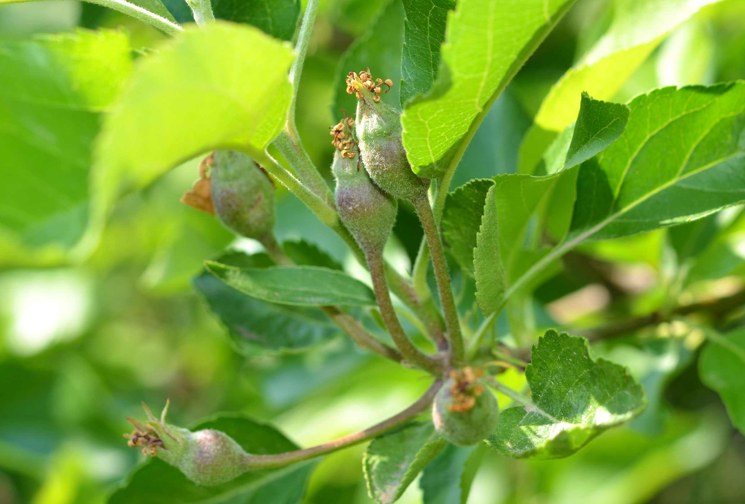
Legarea fructelor s-a încheiat în tot pomul.
Boli în această perioadă
Produse fitosanitare omologate pentru această perioadă
Dăunători în această perioadă
Produse fitosanitare omologate pentru această perioadă
Tratamente chimice
- Se va aplica un tratament cu fungicid, dacă există condiții de îmbolvănire (vreme ploioasă) ori la primele semne de îmbolnăvire.
- Tratamentul cu insecticid este important în această fază și trebuie aplicat, fiind vizată, cu prioritate Cydia pomonela.
Aveți întrebări? Lăsați-le în zona de comentarii.
















