Cumpără de pe .ro

Congres
Preț: 47 Lei
Superbă de toamnă
Preț: 49 Lei
Cardinal
Preț: 38 Lei
Redhaven
Preț: 38 Lei
Filip
Preț: 69 Lei
- Specie prezentă în toate zonele pomicole ale lumii, cu climat temperat și mediteranean.
- În țara noastră a fost observată după 1960.
- Adultul este un fluture de 0,5 - 0,7cm lungime, de culoare cenușie, cu aripile anterioare înguste, cu linii longitudinale negre. Aripile posterioare sunt mai late și franjurate.
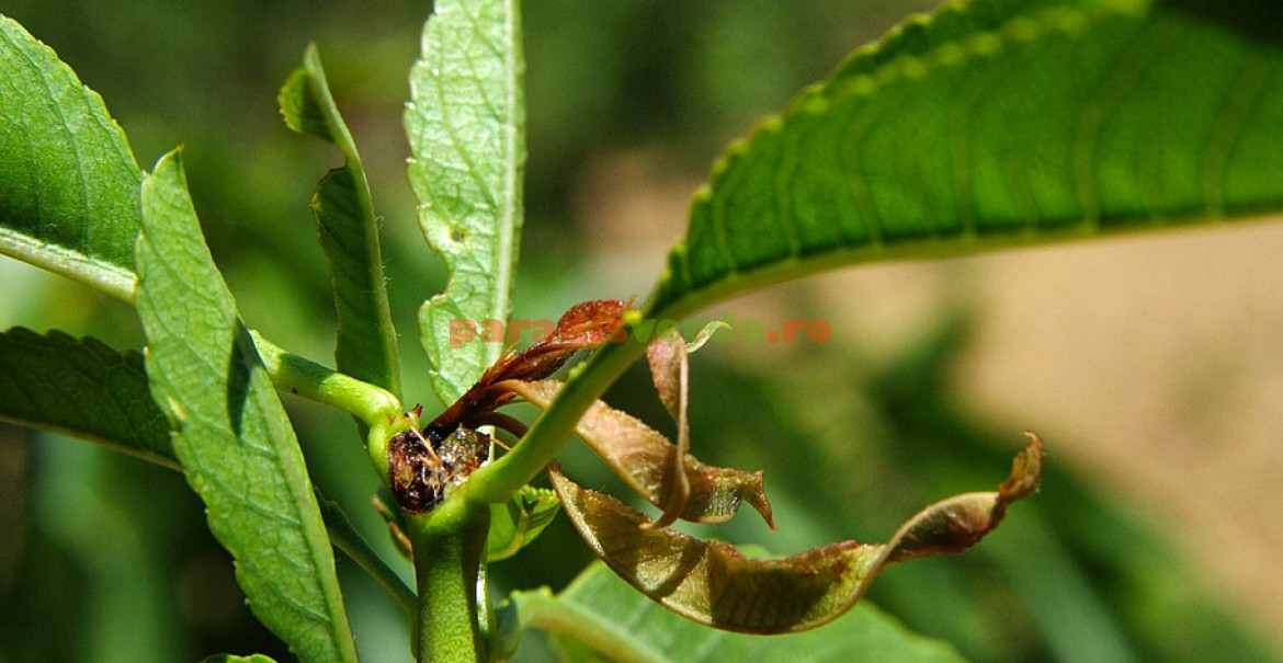
- Daunele sunt produse de larve care, la maturitate, au 1cm lungime, corp brun și aspect inelat, datorită liniilor galbene de la limita fiecărui segment.
Ce atacă şi cum dăunează:
- Larvele moliei vărgate atacă lăstarii și fructele de piersic, migdal și cais.
- Când cei atacați sunt lăstarii, larvele pătrund în aceștia printre frunzele de la vârf. Lăstarii atacați se recunosc ușor, deoarece vârful lor se usucă și, la o examinare atentă, se pot observa excrementele larvei și scurgeri de clei, apărute pe rana deschisă de dăunător.
- Atacul fructelor începe din luna iunie, larvele pătrunzând în fruct și hrănindu-se cu pulpa din jurul sâmburelui.
- Fructele infestate cad sau putrezesc pe pom, din cauza infecțiilor fungice ce se dezvoltă în urma larvei.
- Molia vărgată a piersicului are 3 generații pe an.
- Iernează ca larvă, ascunzându-se în crăpăturile scoarței pomilor.
- Primăvara, larvele își încep activitatea când temperatura aerului depășește 12oC, moment ce coincide cu umflarea mugurilor, pe care îi și atacă.
- După alungirea lăstarilor, larvele migrează spre vârful acestora, unde rod galerii și pătrund în interior. Larvele ating maturitatea după 30 - 35 de zile, împupându-se într-un cocon de fire mătăsoase, țesut între două frunze sau la bifurcația lăstarilor.
- Prima generație de adulți (fluturi) apare în mai-iunie, copulația și depunerea ouălor având loc pe timpul nopții, locurile vizate fiind mugurii.
- După eclozare, larvele atacă lăstarii și fructele soiurilor timpurii iar după 35-40 de zile se împupează.
- A doua generație de adulți (fluturi) apare eșalonat, pe o durată de 3-4 săptămâni. De această dată, ouăle sunt depuse pe fructe și pe pețiolurile frunzelor. Această generație de omizi este cea mai dăunătoare, deoarece atacul se concentrează doar pe fructe.
- Când ating maturitatea, omizile ies din fruct țesându-și un cocon de fire de mătăsoase în adâncitura pedunculului fructului sau în îndoitura unei frunze, unde se transformă în pupe.
- A treia generație de adulți (fluturi) apare la sfârșitul lui august, femelele depunând ouăle pe ramuri. Omizile acestei generații nu atacă decât foarte rar fructele soiurilor târzii, interesul acestora îndreptându-se către lăstarii tineri.
- La începutul lui octombrie omizile se retrag în scoarța pomilor, pregâtindu-se de iernat, urmând să-și reia activitatea în primăvara următoare.
Cum se combate bio:
- Lăstarii atacați trebuie tăiați și arși. La tăierea lăstarilor ne vom asigura că larva e în segmentul de lăstar prelevat, urmărind ca măduva să fie intactă în locul unde s-a făcut tăietura.
- Fructele viermănoase, căzute pe sol se îndepărtează de sub coroana pomului.
Cum se combate chimic:
- Momentul de aplicare a tratamentelor împotriva moliei vărgate a piersicului se stabilește urmărind curba de zbor, realizată cu ajutorul capcanelor cu feromoni. Astfel, se consideră că momentul optim de aplicare a tratamentelor este la apariția primelor frunzulițe (buton roz), în cazul larvelor hibernante, și la 15 - 18 zile după capturarea primilor fluturi în capcanele feromonale, pentru celelalte generații de fluturi.
- Cele mai importante tratamente împotriva moliei vărgate a piersicului se aplică în fenofazele: buton roz, când 10-15% dintre flori încep să se scuture și la debutul maturării fructelor.
- Tratamentele în faza de debut a maturării se aplică doar dacă s-au înregistrat anterior atacuri pe lăstari și numai cu substanțe cu durată scurtă de pauză între tatament și recoltare.
- Insecticidele omologate în țara noastră pentru tratamente împotriva moliei vărgate a piersicului sunt:
Cyperguard 0,02%
Tratament în vegetație
acțiune de contact
- Timp de așteptare de la ultimul tratament până la recoltare: 14 zile.
Fastac 10 EC 0,2%
Tratament în vegetație
acțiune de contact
Cum interpretăm indicaţiile de prezentare a pesticidelorCum reduceți cantitatea de pesticide care vă intră în corpReguli obligatorii la aplicarea de tratamente chimice la plante












